Weather Power Year In Review!

WeatherPower · 2025 Recap 2025 Year in Review: WeatherPower’s First Season Online 2025 was the year WeatherPower went from “what if…” to a live platform. We flipped the switch in June 2025 and have been building, testing, and upgrading nonstop ever since. Launched June 2025 Focus Hyperlocal severe weather intelligence Mode Always in beta, always…

Post Image
Christmas Mode Removed — New Year Mode Activated

WEATHERPOWER • SITE UPDATE Goodbye Christmas Mode — Hello New Year Glow ✨ UI Refresh Seasonal Theme Favicon I just pushed a clean seasonal refresh across my WeatherPower sites: all Christmas decorations are removed, and a brand-new New Year theme is now live with a neon-glass vibe. What changed? Christmas decorations removed from both sites…

Post Image
Hot Christmas This Year!

WeatherPower Blog • Warm Christmas Idabel, OK • Updated Dec 21, 2025 (evening) Warm Christmas 2025 in Idabel: when the calendar says “winter” but the air says “fall” This year’s Christmas week is running way above normal in southeast Oklahoma. Using the National Weather Service point forecast for Idabel and NOAA’s 1991–2020 station normals, here’s…

2025 Wrapped For WeatherPower & My Life!

2025 This was quite the year for you & WeatherPower. 2025 was a year… By the numbers Your 2025 in stats If this year were a dashboard, it would look something like this: Minutes of music 19,000+ From hype tracks to songs that stayed on repeat all year. Radar refreshes Countless Chasing storms, checking loops,…

Post Image
2025 Year In Review Pt.1

W WEATHERPOWER BLOG 2025 • YEAR IN REVIEW WeatherPower 2025 Year In Review A fast, chaotic, and insanely productive year for WeatherPower, the live radar, and everything around it. Author: Joshi / WeatherPower LLC Posted: December 2025 Status: Shipped & Live Overview A Year That Moved at Lightning Speed If 2024 felt quick, 2025 said…

What We Have Added To WeatherPower In The Past 2 Days

What We’ve Added to WeatherPower in the Last 2 Days Published November 25, 2025 The last 48 hours have been packed with upgrades behind the scenes and right on the radar. Here’s a quick tour of everything new that just landed on WeatherPower. 1. Live Viewer Dots – Now Truly “Real Time” Those little glowing…

What has been added to WeatherPower & What Is Coming to WeatherPower

What’s New in WeatherPower – And What’s Coming NextLooking back at the last month and ahead to the next few months. WeatherPower has been growing quickly behind the scenes. Over the past month, we’ve focused on making the site cleaner, faster, and more powerful for people who just want the weather to make sense. Here’s…

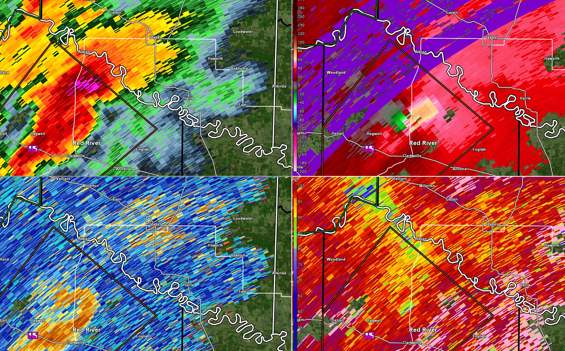
Severe Weather Outbreak Possible Tomorrow 11/24/25

Monday Severe Weather Setup: Heads-Up for East Texas & the ArkLaTex Posted for Monday, November 24, 2025 We’re watching the setup for Monday, November 24, 2025, as the atmosphere lines up for another round of storms from east Texas into the ArkLaTex and Ark-La-Miss region. The Storm Prediction Center (SPC) has placed this zone in…